Philippines Faces Catastrophe as Super Typhoon Fung-wong Approaches
Mise à jour le 2025-11-09 10:28:00 : Près d’un million de personnes évacuées alors que le typhon Fung-wong menace de frapper les Philippines.
Alerte : Aucune confirmation indépendante n’a pu être obtenue à partir de sources fiables. Cette information est à considérer avec prudence.
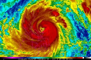
Les Philippines se préparent à un désastre alors que le super typhon Fung-wong, avec des vents atteignant 185 km/h, approche de la côte est. Près d’un million de personnes ont été évacuées en raison de l’alerte de tempête. Les inondations augmentent dans plusieurs régions, notamment à Catanduanes, qui pourrait subir un impact direct.
Ce qu’il faut savoir
- Le fait : Près d’un million de personnes évacuées en raison du typhon Fung-wong.
- Qui est concerné : Résidents des Philippines, en particulier sur l’île de Luzon.
- Quand : Attendu pour le 9 novembre 2025.
- Où : Philippines, principalement à Catanduanes.
Chiffres clés
- 916,863 personnes évacuées.
- Vents de 185 km/h et rafales atteignant 230 km/h.
Concrètement, pour vous
- Ce qui change : Fermeture des écoles et bureaux gouvernementaux sur l’île de Luzon.
- Démarches utiles : Suivre les directives des autorités locales.
- Risques si vous n’agissez pas : Risques d’inondations et de dommages matériels.
Contexte
Le typhon Fung-wong arrive après que le pays a subi les conséquences dévastatrices du typhon Kalmaegi, qui a causé la mort de plus de 220 personnes. Les scientifiques avertissent que les typhons deviennent plus puissants en raison du changement climatique, ce qui entraîne des pluies plus intenses.
Ce qui reste à préciser
- Les mesures de sécurité spécifiques mises en place par le gouvernement.
- Les prévisions météorologiques pour les jours suivants.
Citation
« Nous ne pouvons pas risquer la sécurité de nos sauveteurs. Nous ne voulons pas qu’ils soient les prochaines victimes. » — Myrra Daven, responsable des secours, 2025.
Sources

Source d’origine : Voir la publication initiale
Date : 2025-11-09 10:28:00 — Site : phys.org
Auteur : Cédric Balcon-Hermand — Biographie & projets
Application : Téléchargez Artia13 Actualité (Android)
Notre IA anti-désinformation : Analyzer Fake News (Artia13)
Publié le : 2025-11-09 10:28:00 — Slug : philippines-evacuates-hundreds-of-thousands-as-super-typhoon-nears
Hashtags : #Philippines #evacuates #hundreds #thousands #super #typhoon #nears


